G4aXkBRXQAAUMnB (1)

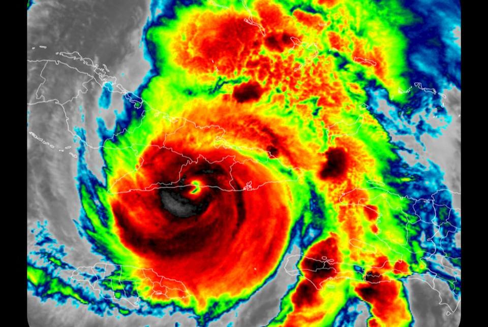
Melissa tocó tierra en Cuba la madrugada del miércoles 29 de octubre de 2025 como un huracán de categoría 3, marcando un momento de alta tensión meteorológica en el Caribe. La llegada del ciclón se produjo cerca de Chivirico, en Santiago de Cuba, alrededor de las 3:10 a.m., con vientos máximos sostenidos de aproximadamente 195 km/h, lluvias torrenciales, presión central mínima de 952 mb y marejadas ciclónicas importantes.​

Impacto inicial y respuesta
Miles de personas fueron evacuadas en las provincias del oriente cubano antes del avance del meteoro, siguiendo alertas oficiales que recomendaban buscar refugio y proteger a los grupos más vulnerables. Las autoridades organizaron la disposición anticipada de alimentos, agua y suministros médicos en centros de emergencia regionales, gracias al apoyo humanitario internacional y fondos de emergencia.​

Efectos inmediatos
Grandes áreas de la región oriental han reportado cortes de energía y daños materiales, especialmente en viviendas de zonas costeras y rurales, por los intensos vientos y el fuerte oleaje.​

Las lluvias acumuladas de hasta 450 mm han generado inundaciones severas y el desbordamiento de ríos, especialmente en zonas montañosas, mientras continúan las operaciones de rescate y la asistencia en albergues.​

El fenómeno también ha requerido la movilización de personal sanitario y voluntarios, quienes trabajan en la atención de emergencias y la distribución de insumos básicos.​

Apoyo y solidaridad
La solidaridad internacional se hizo presente, tanto por parte de organismos humanitarios como de otras naciones caribeñas afectadas por Melissa, destacando el mensaje del canciller cubano al pueblo jamaicano después de la destrucción causada en esa isla antes de la llegada del huracán a Cuba.​

Melissa, aunque reducida de categoría 5 en Jamaica a categoría 3 en Cuba, representa uno de los mayores desafíos climatológicos de la última década para el Caribe, poniendo nuevamente en primer plano la vulnerabilidad de la región ante los embates de la naturaleza.

Comparte en tus redes